微信搜索关注"91考试网"公众号,领30元,获取公务员、事业编、教师等考试资料40G!
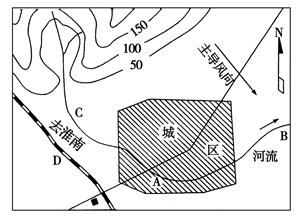
1、综合题 如下图,某地区拟在A、B、C、D四地建火力发电厂、自来水厂、印染厂、服装厂,并在城郊建立副食品基地及进行绿化建设,从经济效益、环境因素考虑,回答下列问题。

(1) 自来水厂建在________处,理由是___________。
(2) 火力发电厂建在________处,理由是_____________。
(3) 印染厂建在________处,理由是_________________。
(4) 服装厂建在________处,理由是_______________。
(5) 副食品基地应建在城市的________方位,理由是______________。
(6) 绿化带布置在城市的________方位,理由是____________。
2、综合题 材料青岛“海尔”是全球大型家电第一品牌。该企业通过在全球布局众多的设计、信息、营销中心和生产基地,实现当地化和高时效的运转。近年,海尔集团开启全球网络化战略,通过订单快速达成按需设计、制造、配送,满足个性化需求。
(2)依据材料,结合地域联系方式和社会经济条件的变化,说出海尔集团近年成功实施全球网络化战略的原因。(10分)
3、单选题 读图回答1—2题。

1.若图表示季风水田农业的区位因素构成,则a代表的是
[? ]
A.政治
B.市场
C.技术
D.劳动力
2.若图中a、b、c分别代表工业区位因素中的技术、交通通达度和环境因素,则图示的工业部门可能是
[? ]
A.纺织工业
B.电子工业
C.石化工业
D.能源工业
4、综合题 阅读材料,回答下列问题。
材料一 底特律始建于1701年,1830年后工业稳步成长,1903年世界第一家汽车公司建立,此后迅速发展成为世界著名的“汽车城”。20世纪70年代受到石油危机重创,加上日本、德国等国汽车生产的冲击,开始走向衰落。20世纪90年代以后发展了赌场等第三产业,但未能扭转经济衰退趋势。2007年房地产市场崩溃,2013年2月19日底特律市宣布已经陷入财政危机。
材料二 图1是北美五大湖地区主要工业城市分布图,图2是底特律人口数量变化图。

图1
(1)18世纪五大湖区许多工业城市迅速发展的主要条件有________。
(2)底特律人口迅速增长时期的主导产业是________,该产业发展的主要原因有________、________。
(3)20世纪中期以来,底特律日趋衰落,直至陷入财政危机的具体原因有________。
(4)简述底特律的兴衰给我国城市经济活动的启示________。
5、单选题 读“美国部分地区轮廓图”,回答题

小题1:图中a、b、c、d、e五区域中,不属于商品谷物农业地域类型的是(?)
A.a、b
B.c、d
C.d、e
D.b、e