高考省级导航

全国 A安徽 B北京 C重庆 F福建 G广东 广西 甘肃 贵州 H河南 河北 湖南 湖北 黑龙江 海南 J江苏 江西 吉林 L辽宁 N内蒙古 宁夏 Q青海 S山东 山西 陕西 四川 上海 T天津
     X新疆 西藏 Y云南 Z浙江

高考地理高频试题、高中地理题库汇总-压中真题已成为一种习惯

地球与地图 地球 地图: 地图的基本知识 等值线图 宇宙中的地球 宇宙环境: 地球是太阳系中 太阳对地球的影响 地球运动及其地理意义: 地球运动的地理意义 地球的圈层结构 宇宙探测 人类认识的宇宙 物质运动和能量交换 地壳物质循环 内力作用与地貌 大气的热状况 大气受热过程 大气运动 全球气压带 常见的天气系统 气候类型及其判断 大气的圈层结构 水的运动 陆地上水体 世界洋流分布 水资源利用 整体性和差异性 自然环境 地理环境的整体性: 自然地理要素 地域分异规律 陆地自然带 自然对人类影响 地表形态对聚落及交通 全球气候变化 资源对人类生存: 自然资源的分布和利用 自然灾害发生 人口与城市 人口与地理环境: 人口增长与人口问题 人口迁移 人口分布 人口性别 城市与地理环境: 城市的空间结构 城市化的过程和特点 城市的区位因素 地域文化 生产活动 农业生产活动 农业区位因素 农业地域类型 工业生产 工业区位因素 传统工业区和新兴工业区 交通运输 现代交通运输方式 交通运输线路 交通运输布局 城市交通的特点 商业中心和国际贸易 区域可持续发展 区域工业化 区域农业生产 人类与地理环境 人地关系思想 主要环境问题 可持续发展 区域地理环境 地理信息技术的应用 遥感(RS) 全球定位系统 地理信息系统 区域生态环境的建设 荒漠化的防治 水土流失的治理 森林的开发和保护 区域地理 世界地理 世界分区地理 中国地理 中国地理概况 中国的河流和湖泊 中国的农业和工业 中国的天气和气候 中国的自然资源 中国区域差异 东部季风区 国土整治 选修部分 宇宙与地球 太阳系和地月系 海洋地理 海洋和海岸带 海洋环境问题 海洋开发 海洋权益 旅游地理 旅游活动设计 旅游景观的欣赏 旅游与区域发展 旅游资源的类型与分布 旅游资源的综合评价 文化景观 文明旅游 城乡规划 自然灾害与防治 自然灾害与环境 主要自然灾害 自然灾害 防灾与减灾 环境保护 资源问题 生态环境保护 生态问题 环境污染与防治 环境与环境问题 环境管理 环境与发展问题 地理信息技术应用 3S技术综合应用 地图与遥感 综合专题

高考地理必备知识点《地图》高频考点特训(2019年必看版)(五)
2019-06-28 16:02:23 【

1、单选题  从气候学上讲,连续五天日平均气温在10℃以下算作冬季。读我国冬始日期分布图,完成题。
1.影响我国地势第三阶梯冬始日期分布的主导因素是2.下列关于我国各地冬始日期分布规律及主要影响因素的叙述,正确的是
A.光照
B.纬度
C.海陆分布
D.地形
E.C地入冬日期可能为11月25日
F.受地形影响,沿海地区比同纬度内陆地区入冬晚
G.海口一年中只有春、夏、秋三季,没有冬季,因此不存在季节更替现象
H.A地地势高,B地纬度高,入冬日期相近



2、单选题  下图为“我国某地区某一纬线附近地形剖面示意图”。读图回答1—2题。

1、该地区主要位于我国
[? ]
A.西北地区
B.东北地区
C.华北地区
D.西南地区
2、甲地所属的自然带是
[? ]
A.热带雨林带
B.亚热带常绿阔叶林带
C.亚寒带针叶林带
D.温带落叶阔叶林带



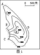
3、单选题  图1为某山区等高线地形图(单位:米),已知该地多岩崩和泥石流等地质灾害,读图回答问题。

【小题1】图中最易发生泥石流灾害的是:
A.A地
B.B地
C.C地
D.D地

【小题2】游客小明随队在该山区旅游时不慎迷失方向,大队人马在山顶H处等候,当小明位于A、B、C、D四点中的何点时,才可能被大队人马直接观测到:
A.A点     B.B点       C.C点      D.D点
【小题3】若将该图比例尺放大一倍,则新图的:
A.比例尺为1:200000
B.图幅面积为原图的2倍
C.1厘米代表实际距离为原图的二分之一
D.表示的范围扩大一倍



4、单选题  某地理小组于春分日在我国某地(如图所示,等高距为200米)进行地理观测。
据此回答下列小题.

【小题1】图中Q地的海拔高度可能是(   )
A.160米
B.380米
C.680米
D.1080米
【小题2】18时(地方时)位于Q地的观测者看到太阳在P地方向落下,据此判断图中A河段大致的流向是(   )
A.北流向南
B.东北流向西南
C.南流向北
D.西南流向东北



5、单选题  读“澳大利亚某季节等温线图”和“海平面等压线图”,完成下题。

【小题1】影响图A中M海域等温线弯曲的主要因素是(  )
A.太阳辐射
B.洋流
C.大气环流
D.地形
【小题2】图中可能出现降水的地点是(  )
A.Q
B.R
C.S
D.T
【小题3】图示季节,南亚的盛行风是(   )
A.东北风
B.东南风
C.西北风
D.西南风



】【打印繁体】 【关闭】 【返回顶部
下一篇高考地理知识点《宇宙环境及其对..

问题咨询请搜索关注"91考试网"微信公众号后留言咨询