1、单选题 此次地震发生在
A.地壳
B.地幔
C.外核
D.内核
参考答案:B
本题解析:
本题考查地球的内部圈层结构。地球内部圈层(从外到内)分为地壳、地幔和地核。地核厚度最大,地核与地幔分界面为古登堡界面,地幔与地壳界面为莫霍界面。地壳的平均厚度为17km,此次地震发生在40km处,为地幔。所以本题选择B选项。
本题难度:简单
2、单选题 读“地震波波速与地球内部构造图”,回答1—2题。

1、图中①表示
[? ]
A.地幔
B.地壳
C.地核
D.软流层
2、岩石圈位于
[? ]
A.①顶部
B.②的全部
C.①的全部和②顶部
D.③外部
参考答案:1、B
2、C
本题解析:
本题难度:简单
3、单选题 下列地区中地壳厚度最小的是?(?)
A.喜马拉雅山
B.内蒙古高原
C.四川盆地
D.大西洋
参考答案:D
本题解析:本题考查地壳的基本特征。地壳厚度的一般规律:地球大范围固体表面,海拔越高,地壳越厚,而海拔越低,地壳越薄;故大西洋的地壳厚度最小。
本题难度:一般
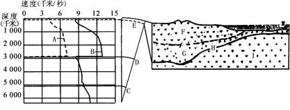
4、综合题 读图回答问题。(10分)

(1)代表地震波传播速度随深度变化的曲线:A?,B?。(填 “纵波”“横波”)。
(2)地壳的上层F是?层,下层G是?层,F层与G层密度的比较是F?G(填“>”、“<”或“=”)。
(3)D、E是地球内部分层的界面,D是?面,E是?面。在D界面随深度增大,横波发生的变化是?,纵波发生的变化是?。
(4)一般认为I层的物质组成是?的硅酸盐类矿物。
参考答案:(1)横波、纵波?(2)硅铝层、硅镁层、<?(3)古登堡面、莫霍面、突然消失、迅速降低?(4)铁、镁
本题解析:本题考查地球的内部圈层。(1)图示A波的传播速度较B波慢,故判断A表示横波,B表示纵波。(2)图示地壳的上层为硅铝层,而下层为硅镁层。由于硅铝层密度小,故分布于上层。(3)图示D位于地下约2900KM深处,为地幔和地核的分界面表示古登堡界面,而E表示地幔和地壳的分界面,为莫霍界面,图示D界面以下横波消失,而纵波的速度也明显下降。(4)图示I层表示地幔,组成物质为含铁、镁的硅酸盐类矿物。
本题难度:一般
5、单选题 下列关于地震波的叙述,不正确的是:
A.地震波有横波和纵波之分
B.地震波波速的变化是划分地球内部圈层结构的依据
C.在莫霍界面,纵波和横波的波速都变慢
D.在地震时,在震中的人们先感到上下摇晃,然后是左右颠簸
参考答案:C
本题解析:对于地球内部的圈层的划分主要是依据地震波在地球内部的不同圈层中传播速度的变化来进行划分的,地震波又有横波和纵波之分,横波只能在固态物质中传播,纵波可以在固、液、气三态物质中进行传播,横波是一种疏密波,给人的感觉是左右摇晃,其传播速度较慢;纵波是一种弹性波,给人的感觉是上下颠簸,其传播速度较快,所以地震发生时,人们先感到上下颠簸,然后是左右摇摆。故选项D是错误的。
点评:本题的关键对地震波有比较全面的了解
本题难度:一般