| 高考省级导航 | |
|
|
|
高考地理题《地图》考点预测(2017年强化版)(六)
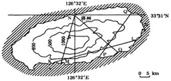
A.L B.Q C.K D.N |
参考答案:【小题1】D
【小题2】D
【小题3】B
本题解析:试题分析:
【小题1】图示地势中间高、四周低,MN穿过中间,海拔最高超过1000米,所以与④对应;NO穿过东部,中心为谷地,最高处接近500米,与③对应;PQ最高在200米左右,左侧坡度较缓,右侧较陡,与①对应;KL与PQ海拔相当,左侧坡度较陡,右侧坡度较陡,与②对应。故选D。
【小题2】岛屿冬季吹向西北风,西北地区为冬季迎风坡,降水量多,应为N点。故选D。
【小题3】上海市地处东经120°51′至122°12′,北纬30°40′至31°53′之间,上海与济州岛经度大致相差4°,纬度相差3°,利用经纬度之间间隔距离和勾股定理计算。故选B。
考点:等高线地形图、经纬网
本题难度:一般
2、单选题 古代地名有时包含方位信息,古代地图方向设置则具有多元化特点,原则上尽量方便用图者. 结合所学知识回答下列各题。
【小题1】洛阳因紧靠洛河而得名,据此可以判断洛阳古城遗址位于洛河( )
A.以东
B.以西
C.以南
D.以北
【小题2】古代海防图,最可能设置为“上南下北”方位的地点是( )
A.广西北海
B.福建厦门
C.河北秦皇岛
D.山东威海
参考答案:【小题1】D
【小题2】A
本题解析:试题分析:
【小题1】在北半球,山之南,水之北为阳;山之北,水之南为阴。“阳”是指能被阳光照射到的一侧。根据城市名称中的“阳”字,判断位于河流北岸,D对。
【小题2】设置方位是为了读图的方便,在广西北海,人们面对大海布置海防,面对的是南方。看图时,人们习惯于把面对的方向设置在上方,背对的一面设置在下方。所以A对。福建厦门面对大海时是东南方向,河北秦皇岛是面对东方,山东威海是面对北方,设置为“上南下北”方位的可能性小,B、C、D错。
考点:地名与城市区位,地图上的方向。
本题难度:一般
3、单选题 东亚岛屿众多,资源丰富。下图为东亚太平洋某岛屿等高线分布图(单位:米)。读图回答小题。
1.图示岛屿地处世界哪一半球2.图中甲处山峰海拔大约是
A.北半球
B.南半球
C.西半球
D.昼半球
E.280米
F.380米
G.180米
H.330米
参考答案:1. A
2. D
本题解析:试题分析:
1.结合图示可知该岛屿大致位于25°40′N-25°41′N,123°E-125°E范围内。从南北半球看属于北半球,从东西半球看属于东半球。从题文上看不出昼夜半球。故选A项。
2.结合图中等高线地形图可知本图等高距为50米,根据闭合等值线“大于大的,小于小的”原则,可推知甲处山峰海拔在300-350米之间,所以只有D项330米符合。
考点:本题考查地球半球划分和等值线判读。
点评:本题难度较小,通过东亚太平洋某岛屿等高线分布图来考查地球半球划分和等值线判读,属于基础知识题目。解答本题要注意:1.南北半球的分界线,为赤道。东西半球的分界线,为西经20°和东经160°所组成的经线圈。2.局部小范围闭合等值线──高度不在正常范围内,其特点是:“大于大的”或“小于小的”。
本题难度:困难
4、综合题 自然环境是人类赖以生存和发展的基础,不同的自然环境中人类活动也有差异;随着人类社会的发展,使人类影响和改变自然环境的能力大大提高,因此人类必须走人地关系和谐统一的道路。阅读下列材料,分析回答问题。
材料一 长江中游D湖及周边地区图
材料二 D湖沿岸某地的“1950年和2010年土地利用状况示意图”
(1)概述材料一图示区域的地形特征。(4分)
(2)湖陆风是指由于湖泊与陆地热力性质差异形成的风。请简析该湖区湖陆风在每年7~8月份最为明显的主要原因。(4分)
(3)简析该地土地利用变化对湖泊及周围地区环境产生的影响。(5分)
参考答案:(1) 东、南、西三面以山地、丘陵为主,地势较高(2分)中北
本题解析:试题分析:
(1) 描述一个地区的地形特征主要从地形类型,地势高低,地形分布三个方面来描述,从等高线地形图上可以看出,东面、南面、西面海拔较高,大都在500米以上,说明地形是山地和丘陵,地势较高。中北部是平原地形,地势较低。
(2) 问题中提到湖陆风是指由于湖泊与陆地热力性质差异形成的风,所以该题可以参考海陆风的成因。湖陆风显著,说明此月份湖泊和陆地热力性质差异显著。题干中提到是长江中游地区,7-8月份该区域是处在副高的控制下出现伏旱天气,同时湖泊的面积大,所以导致湖陆热力性质差异显著。
(3) 影响类的试题一般应从有利和不利两方面分析。分析材料二的前后图的对比,发现湖泊面积减小,同时增加了聚落和造纸厂,湖泊对河流径流有调蓄作用,丰水期储水枯水期放水,湖泊水面对局部气候也有调节作用,增加空气湿度等,湖泊面积减小,其调蓄功能下降;同时造纸厂是污染水源的工业,工业污水的排放会导致当地水体污染,生物多样性受损等。
考点:考查地形特征的描述、热力环流原理和区域环境问题。
本题难度:一般
5、单选题 图上距离是12厘米,实地距离是3600千米,该图的比例尺为(?????).
A.1:3000万
B.1:300万
C.1:30万
D.1:3万
参考答案:A
本题解析:本题考查比例尺。比例尺=图上距离:实际距离=12cm:3600*105cm=1:3*107;选A项。
本题难度:一般
|
||
| 【大 中 小】【打印】 【繁体】 【关闭】 【返回顶部】 | ||
| 下一篇:高考地理试题《地球》在线测试(2.. | ||