高考省级导航

全国 A安徽 B北京 C重庆 F福建 G广东 广西 甘肃 贵州 H河南 河北 湖南 湖北 黑龙江 海南 J江苏 江西 吉林 L辽宁 N内蒙古 宁夏 Q青海 S山东 山西 陕西 四川 上海 T天津
     X新疆 西藏 Y云南 Z浙江

高考地理高频试题、高中地理题库汇总-压中真题已成为一种习惯

地球与地图 地球 地图: 地图的基本知识 等值线图 宇宙中的地球 宇宙环境: 地球是太阳系中 太阳对地球的影响 地球运动及其地理意义: 地球运动的地理意义 地球的圈层结构 宇宙探测 人类认识的宇宙 物质运动和能量交换 地壳物质循环 内力作用与地貌 大气的热状况 大气受热过程 大气运动 全球气压带 常见的天气系统 气候类型及其判断 大气的圈层结构 水的运动 陆地上水体 世界洋流分布 水资源利用 整体性和差异性 自然环境 地理环境的整体性: 自然地理要素 地域分异规律 陆地自然带 自然对人类影响 地表形态对聚落及交通 全球气候变化 资源对人类生存: 自然资源的分布和利用 自然灾害发生 人口与城市 人口与地理环境: 人口增长与人口问题 人口迁移 人口分布 人口性别 城市与地理环境: 城市的空间结构 城市化的过程和特点 城市的区位因素 地域文化 生产活动 农业生产活动 农业区位因素 农业地域类型 工业生产 工业区位因素 传统工业区和新兴工业区 交通运输 现代交通运输方式 交通运输线路 交通运输布局 城市交通的特点 商业中心和国际贸易 区域可持续发展 区域工业化 区域农业生产 人类与地理环境 人地关系思想 主要环境问题 可持续发展 区域地理环境 地理信息技术的应用 遥感(RS) 全球定位系统 地理信息系统 区域生态环境的建设 荒漠化的防治 水土流失的治理 森林的开发和保护 区域地理 世界地理 世界分区地理 中国地理 中国地理概况 中国的河流和湖泊 中国的农业和工业 中国的天气和气候 中国的自然资源 中国区域差异 东部季风区 国土整治 选修部分 宇宙与地球 太阳系和地月系 海洋地理 海洋和海岸带 海洋环境问题 海洋开发 海洋权益 旅游地理 旅游活动设计 旅游景观的欣赏 旅游与区域发展 旅游资源的类型与分布 旅游资源的综合评价 文化景观 文明旅游 城乡规划 自然灾害与防治 自然灾害与环境 主要自然灾害 自然灾害 防灾与减灾 环境保护 资源问题 生态环境保护 生态问题 环境污染与防治 环境与环境问题 环境管理 环境与发展问题 地理信息技术应用 3S技术综合应用 地图与遥感 综合专题

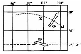
读我国三种资源跨区域调配路线示意图(图4),据此回答问题。<br【世界洋流分布规律及其对地理环境的影响】
2017-02-11 22:26:25 来源:91考试网 作者:www.91exam.org 【
微信搜索关注"91考试网"公众号,领30元,获取公务员、事业编、教师等考试资料40G!

单选题  读我国三种资源跨区域调配路线示意图(图4),据此回答问题。
1.三条路线所经区域的叙述正确是2.关于线路①资源调出区的突出环境问题是

A.经过温度带最多的是路线②
B.经过大中城市最多的是路线①
C.经过地形区最多的是路线③
D.三条路线均经过少数民族自治区
E.土地荒漠化
F.旱灾频繁
G.台风危害严重
H.地质灾害危害大



单选题  读我国三种资源跨区域调配路线示意图(图4),据此回答问题。
1.三条路线所经区域的叙述正确是2.关于线路①资源调出区的突出环境问题是

A.经过温度带最多的是路线②
B.经过大中城市最多的是路线①
C.经过地形区最多的是路线③
D.三条路线均经过少数民族自治区
E.土地荒漠化
F.旱灾频繁
G.台风危害严重
H.地质灾害危害大

本题答案:1. B
2. A
本题解析:1.根据图中信息可知,①是西气东输,②是南水北调,③是西电东送。经过温度带最多,经过大中城市最多的西气东输;南水北调不经过少数民族地区。符合题意的是B项。
2.根据图中信息可知,①是西气东输,从新疆的轮南到上海,调出区在西北地区,主要是土地荒漠化问 题。


本题所属考点:【世界洋流分布规律及其对地理环境的影响】
本题难易程度:【一般】



The devil is not so black as he is painted. 魔鬼并不象人们描绘的那样黑。
Tags:高考地理 题库
】【打印繁体】 【关闭】 【返回顶部
下一篇2010年8月31日,由中石化投资建设..

网站客服QQ: 960335752 - 14613519 - 791315772