微信搜索关注"91考试网"公众号,领30元,获取公务员、事业编、教师等考试资料40G!
1、综合题 (13分)读1981年及2011年我国某城市布局图,回答下列问题。

(1)初期该城市形成的区位因素是?。
(2)该城市的地势特征是?。
(3)根据材料分析该城市城市化的表现。
(4)分析国道改道的主要原因。
(5)从环境因素考虑,分别指出该城市钢铁厂和化工厂的布局是否合理,并说明原因。
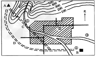
2、综合题 读“某城市规划图”,图中城市常年盛行西南风,回答下列问题。

(1)图中的①②③④四地中,地租最高的是________________。
(2)填表比较规划图中工厂的布置:
(3)若从A处修铁路到B处,选A-C-B线、A-D-B线中的哪一条路线经济效益和环境效益最好?说明理由。
_________________________________________________________________________________
3、单选题 ? 下图为我国南方某山区城镇发展示意图。该地区在专业村、专业乡的基础上形成一个个专业商品产销基地。其中,柳市的五金电器、白石的橡胶制品在国内都占有很大的市场份额。读图回答1—3题。

1、关于该地区城镇发展特点的叙述,不正确的是
[? ]
A.城镇间距离扩大
B.城镇人口增加
C.城镇用地规模扩大
D.城镇数目增多
2、下列有关城镇规模与服务功能的叙述,正确的是
[? ]
A.乐清的服务范围较柳市小
B.虹桥提供的服务种类较乐清多
C.芙蓉和北白象的城镇服务功能相同
D.乐清与柳市的服务范围有可能重叠
3、公路运输是该区域最重要的交通方式,其主要原因是
[? ]
A.地势平坦开阔,公路线四通八达
B.山区优先发展公路,施工难度较小
C.公路运输量大、耗能少、运费低
D.当地汽车工业发达,汽车产量很大
4、单选题 早点铺与一般餐馆比较
[? ]
A.早点铺门槛人口少,服务范围小,数目多
B.早点铺门槛人口多,服务范围大,数目少
C.一般餐馆门槛人口少,服务范围小,数目多
D.一般餐馆门槛人口少,服务范围小,数目少
5、单选题 读“某城市住宅区内各类土地利用付租能力随距离变化示意图”,完成小题。

小题1:M、N、L依次表示的土地利用方式是 (? )
A.商业、住宅、工业
B.商业、工业、住宅
C.住宅、工业、商业
D.工业、商业、住宅