微信搜索关注"91考试网"公众号,领30元,获取公务员、事业编、教师等考试资料40G!
1、单选题 读“美国铜矿资源开发布局指向示意图”,回答1~3题。

1.美国铜矿熔炼厂和精炼厂分别属于____________工业
[? ]
A.原料指向型和市场指向型
B.动力指向型和市场指向型
C.动力指向型和廉价劳力指向型
D.原料指向型和技术指向型
2.大量铜材加工厂集中在精炼厂附近,有利于
[? ]
A.加强各加工厂间联系,竞争发展
B.加强与精炼厂的协作,降低成本
C.扩大总体生产能力,降低劳动力成本
D.减少市场交易费用,改善环境质量
3.从铜矿熔炼厂到盐湖城(地处美国西部内陆地区)附近的精炼厂,粗铜产品的运输方式宜选择
[? ]
A.铁路运输
B.航空运输
C.管道运输
D.海洋运输
2、单选题 下图示意某城市交通、工业区的分布。读图,完成1~2题。

1、该城市传统工业区空间形态形成的主要原因是
[? ]
A、受地形影响
B、运输方便
C、考虑盛行风向
D、接近居住区
2、该城市新工业区的区位优势在于接近
[? ]
A、高速公路
B、市中心
C、运河
D、机场
3、单选题 下表是某产业可能建厂的地点与成本分析表。据此回答(1)~(2)题。?

(1)从经济效益看,该产业最好建在
[? ]
A.甲地
B.乙地
C.丙地
D.丁地
(2)在乙地适宜发展的工业部门有
①时装公司②软件开发公司③有色金属冶炼厂④移动通信器材厂⑤普通制鞋厂
[?]
A.①③⑤
B.①②④
C.①②⑤
D.②③⑤
4、综合题 图5-19为某城市布局规划图,读图回答:

图5-19
(1)自来水厂建在___________(字母),理由是_______________________。
(2)火力发电厂建在___________(字母),理由是_______________________________。
(3)印染厂建在___________(字母),理由是___________________________________。
(4)服装厂建在___________(字母),理由是___________________________________。
(5)副食品基地应建在城市的___________方,理由是__________________________。
(6)绿化带布置在城市的___________方,理由是_______________________________。
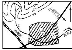
5、综合题 下图为某城市示意图,读图完成下列问题。
(1)若图中工业区布局合理,则该市主导风向是__________________。
(2)除考虑风向外,该市工业布局的主要特点还有________________、_________________。
(3)该市计划在D处建设旅游度假区的理由是_______________________________________________。
(4)简要评价该城市铁路线的布局是否合理。
___________________________________________________________________________________________
(5)该市规划在A处建一大型钢铁厂,其考虑的主要区位条件有______________、_______________、________________。